


Listing Courtesy of: Western Upstate MLS / Coldwell Banker Caine / Alicia Redding
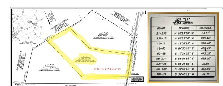
2125 Hwy 247 Belton, SC 29627
Active (33 Days)
$350,000 (USD)
12.66
ACRES
MLS #:
20296652
20296652
Lot Size
12.66 acres
12.66 acres
Type
Land
Land
County
Anderson County
Anderson County
Listed By
Alicia Redding, Coldwell Banker Caine
Source
Western Upstate MLS
Last checked Feb 25 2026 at 12:14 AM GMT+0000
Western Upstate MLS
Last checked Feb 25 2026 at 12:14 AM GMT+0000
Bathroom Details
Lot Information
- Level
- Not In Subdivision
- Outside City Limits
- Hardwood Trees
School Information
- Elementary School: Honea Pth Elem
- Middle School: Honea Pth Middl
- High School: Bel-Hon Pth Hig
Location
Disclaimer: Copyright 2026 Western Upstate MLS. All rights reserved. This information is deemed reliable, but not guaranteed. The information being provided is for consumers’ personal, non-commercial use and may not be used for any purpose other than to identify prospective properties consumers may be interested in purchasing. Data last updated 2/24/26 16:14
Description